郑州龅牙

上前门牙有点外突可以矫正吗

来源:郑州唯美口腔
赞: | 好评: | 阅读:
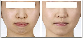
  上前门牙有点外突可以矫正吗,门牙不仅仅只是用来切割食物的,还是面部丰满的支撑点和发音的重要组成部分。上前牙就是我们说的门牙,上前牙突出也是我们说的“龅牙”。上前门牙外突就会影响我们的形象,需要及时进行矫正。那么,上前门牙有点外突可以矫正吗?为此,通过以下我们来进行详细的了解。
 
上前门牙有点外突可以矫正吗
 
  郑州唯美口腔专家介绍龅牙对人的伤害:
 
  1、龅牙导致厚唇:突出的牙齿,需要较厚的覆盖。
 
  2、龅牙导致下巴后缩:因为下巴发育不良。
 
  3、龅牙导致脸型较短宽:因为中下颜面整体发育较差,所以只好横向发展。
 
  4、龅牙导致咀嚼肌肥厚:咬合不正常使力。
 
  【龅牙矫正的好方法】
 
  如果是青少年的话,因为还没有错失矫正的更佳年龄,所以建议用矫正器矫正,这里推荐隐形矫正。隐形牙齿矫正是目前更流行的矫正方法,高新技术三维诊断、个性化设计、数字化成形、无托槽隐形矫治。没有粘结托槽、调整弓丝的繁琐,临床操作大大简化,省时又省力。矫正器是全透明的不用担心传统牙套带来牙齿的不美观,可以让你在别人不知道的情况下矫正。而且传统的牙套不仅护理难而且时间是一般是2-3年,而全透明隐形矫正的疗程只要9-12个月。
 
  成年人的长发育已经完成,颌面部骨缝已变为骨性融合,骨骼、神经肌肉的可塑性低,同时成年人代谢速度变慢,生物反应性降低,因此,成人牙齿矫正的难度相比儿童就要复杂的多。郑州唯美口腔采用的3D美容冠,具有美牙不拔牙,无痛苦,时间短,牙齿坚固,多年后牙龈不会出现黑线等优点,从而达到终生有保障的美牙效果。推荐阅读:龅牙矫正要注意哪些问题
 
  上前门牙有点外突可以矫正吗?通过以上的介绍,想必大家也有了一定的了解。是不是不看不知道,一看下一跳,是不是都没有想过小小的龅牙对我们的影响这么大,因此门牙前突要重视起来,及时进行矫正。郑州牙科医院郑州唯美口腔是专业牙科医院,拥有先进技术和经验丰富口腔专家。如果还有什么不明白的地方,可在线咨询我们的口腔专家。
温馨提示:口腔健康问题,不要查看不专业的网站,不要问不专业的医生。

上一篇:龅牙怎么快速解决

下一篇:25岁龅牙能矫正吗

唯美口腔连锁·汇聚实力专家
唯美口腔连锁·品牌资讯
  • 一城七院
  • 高端设备
  • 荣誉资质
  • 机构环境