郑州龅牙

龅牙怎么快速解决

来源:郑州唯美口腔
赞: | 好评: | 阅读:
  龅牙怎么快速解决,现如今,人们对美的要求越来越高。龅牙我们都知道,对个人形象和气质的影响是非常大的,时间久了也会影响社交,进而给心里也造成极大的影响。因此,为了避免给龅牙患者的身心造成一定的伤害,对于龅牙患者而言,要及早的进行牙齿矫正。那么,龅牙怎么快速解决呢?针对这个问题,通过以下我们来进行详细的了解。
 
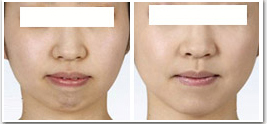
  郑州唯美口腔专家介绍,龅牙”是东方人种中更为常见的一类牙颌面畸形,在医学专业上实质是上颌前突畸形或双颌前突畸形。龅牙患者常常表现为开唇露齿,自然状态下双唇不能闭拢,微笑时牙龈外露过多,常常伴有颏后缩,强迫闭口时,下唇下方与颏部之间有明显的软组织隆起。
龅牙怎么快速解决
 
  矫正龅牙,理想美容冠技术
 
  龅牙矫正郑州唯美口腔引进的美容冠是牙齿美容的一种新型技术,更早起源于欧美、日韩等国家,美容冠具有修复牙齿不拔牙、不伤牙等优点,美容冠技术自从被引进中国,被广大消费者热捧,各大城市都被广泛应用。美容冠的优点颇多,以下为您罗列了几点
 
  1、不伤原牙:美容冠在不损伤牙齿、牙龈的前提下根据牙槽骨的形态对牙齿做修整,仅对不整齐的凸出部位进行精细打磨,无需拨牙。
 
  2、自然持久:德国VITA比色技术,以26阶牙色层次化类比,为你调配更适合牙色,更采用三维数字成型,使之呈现持久天然光泽。
 
  3、坚固耐磨:选用先进材料,令修复后牙齿坚固耐磨,美容冠与原牙紧密贴合,有效保护原牙,自然美观。
 
  4、终生美齿:如能按医嘱进行保养,可相伴终生。
 
  5、无不良反应:无以往存在的牙龈红肿、黑线等现象。
 
  6、高效无痛:全程无痛,高效快速,2次治疗,只需7天天,即可完成。
 
  据了解,目前可用于矫正牙齿的方法有很多种,这也意味着有不少的方法能帮助龅牙的患者解决这一恼人的牙齿畸形问题。并不是所有的方法都适合龅牙患者用于矫正的,需要根据患者自身的实际情况来选择更为合适自己牙齿状况的那种矫正方式。推荐阅读:郑州哪家医院矫正龅牙好
 
  龅牙怎么快速解决?通过以上的介绍,想必大家也有了一定的了解。为了解决龅牙所带来的一系列烦恼,更好的做法就是尽早进行矫正了。郑州牙科医院郑州唯美口腔拥有多样化的牙齿矫正方法,可根据患者的牙齿情况,选择适合的矫正方法,从而达到事半功倍的效果。如果对龅牙矫正还有什么不明白的地方,可在线咨询我们的口腔专家,将为您提供详细的介绍。
温馨提示:口腔健康问题,不要查看不专业的网站,不要问不专业的医生。

上一篇:龅牙牙齿矫正是否需要拔牙

下一篇:上前门牙有点外突可以矫正吗

唯美口腔连锁·汇聚实力专家
唯美口腔连锁·品牌资讯
  • 一城七院
  • 高端设备
  • 荣誉资质
  • 机构环境