牙齿矫正

矫正牙齿可以戴隐形牙套吗

来源:郑州唯美口腔
赞: | 好评: | 阅读:
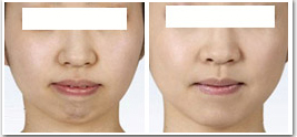
  矫正牙齿可以戴隐形牙套吗,在我们的周围,有不少牙齿不齐的患者,这不仅影响牙齿美观,不敢开怀大笑。为此,不少爱美人士开始寻求牙齿矫正的好方法。传统牙齿整形一般都是戴着钢丝牙套,但是钢丝牙套的样子实在太难看了,那么,矫正牙齿可以戴隐形牙套吗?通过以下让我们来进行详细的了解。
 
矫正牙齿可以戴隐形牙套吗
 
  现代的隐形牙套可以让大家摆脱钢牙套的烦恼了(郑州做隐形牙齿矫正哪家医院好)。隐形牙套与以往的牙齿矫正有了很大区别,首先医生用计算机把患者的牙齿进行三位重建,分析哪些牙齿需要矫正,然后用计算机调整牙齿位置,比如一颗牙齿需要移动2毫米,那么可以用10步来逐步进行,每步移动0.2毫米,把每一步移动后的图像输出,按图制作牙套,患者戴上隐形牙套进行矫正,这是一种用塑料做的牙套,厚度大概在零点几毫米,包在牙齿上,对牙齿有力量,旁人不容易看出来做了牙齿矫正。
 
  隐形牙套除了美观之外,更大的优势是患者不用戴着牙套吃饭了,在吃饭的时候可以摘下来,吃完饭后,把牙齿清洁干净再戴上,对口腔卫生的影响比较小。经过一段时间后,到医院进行复诊,经过评估步目标已经达到了,就进行第二步。推荐阅读:郑州矫正牙齿哪家好
 
  牙齿整形矫正戴隐形牙套的人,一定要注意牙齿卫生,每次吃完东西后一定要清洁牙齿。矫正完后,还需要戴保持器大概2~4年,有些甚至建议终生戴,但保持器可以只在晚上戴,不影响生活质量和美观。
 
  矫正牙齿可以戴隐形牙套吗?通过以上的介绍,想必大家也有了一定的了解。郑州更好的牙科医院郑州唯美口腔云集了多年临床经验的专家人才队伍,一流的医疗设施;高档舒适的诊疗环境;人性化的、精湛的诊疗服务;竭诚为社会各界提供优质、安全、高效、便捷的医疗服务。如果还有什么牙齿问题,可在线咨询我们的口腔专家。
 
温馨提示:口腔健康问题,不要查看不专业的网站,不要问不专业的医生。

上一篇:年龄大了牙齿还能矫正吗

下一篇:舌侧矫治器需要多少钱

唯美口腔连锁·汇聚实力专家
唯美口腔连锁·品牌资讯
  • 一城七院
  • 高端设备
  • 荣誉资质
  • 机构环境