龅牙牙齿矫正会痛吗,龅牙是常见牙齿畸形问题的一种,对自身的容貌以及口腔的健康都会造成一定的影响,因此,及时的进行牙齿矫正是关键。但部分龅牙的患者会担心,在牙齿矫正的过程中疼痛,那么,究竟龅牙牙齿矫正会痛吗?针对这个问题,郑州唯美口腔的专家为我们进行详细的介绍。
郑州唯美口腔的专家介绍,一般牙齿矫正不会很疼,矫正器戴上去以后或者加力以后,可能会有两三天牙齿感觉有一些疼痛,医学上叫做钝痛,不是很严重的疼痛,但是通常在一个星期以内这种现象就会消失,这个通常叫适应期。

牙齿接受像牙齿矫正这种轻微而持续的外力时,牙齿本身是不会痛的,但是这个力道会使得位于牙齿与齿槽骨之间的牙周膜受到拥挤会拉扯。牙周膜内除了富含连接牙齿与齿槽的牙周韧带外,是具有神经、血管与细胞的一种组成。当组织受力而变形后,血液流通受阻,形成缺氧的状态,这时周边的细胞就会释放出一些神经传导物质来刺激神经,向大脑做通报。
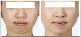
由此可见,龅牙矫正并不痛,从健康的角度来出发,矫正龅牙是很有必要的。龅牙怎么办?一般情况传统的牙箍矫正比较适合青少年,成年人由于牙槽骨已经发育完成,使用传统的牙齿矫正需要的时间比青少年要长,而且效果也有一定的差异,通常情况下,成人骨性龅牙类似前牙外突这种情况,可以选择相对快速的矫正方案,即德国3D美容冠矫正。
3D美容冠矫正龅牙优点
郑州唯美口腔的专家介绍,“3D美容冠”是在“烤瓷牙”的基础上发展起来的,通过对错位牙、畸形牙的牙冠部分施以专业手段,更后用美容冠加以修复。而与传统烤瓷牙相比,3D美容冠修复的牙齿的优点有:
1、美观大方:“3D美容冠”牙齿美容技术采用更新采用3D数码定位系统,精确分析你的牙齿形态以及病症,由专业口腔美容专家为你制定个性美牙方案,成形后的牙齿美观大方,与真牙一模一样。
2、色泽逼真:在矫正的基础上美白,采用德国VITA比色技术,根据每个人不同的牙色,通过29个牙色层次化类比,使成形后的牙齿达到完美的协调统一,色泽逼真,可常年保持天然的光泽。
3、不拔牙 安全无痛:采用美国wind无痛技术,美牙不需动及牙齿根部,彻底解除你爱美又怕痛的顾虑,整个过程在轻松的音乐中完成。推荐阅读:郑州龅牙矫正需要多少钱
4、比正常牙齿更坚固持久:“3D美容冠”比传统烤瓷牙更坚固,更新科技的粘贴技术,美牙不脱落,数据分析显示,经“3D美容冠”美容后的牙齿至少可以承受50公斤拉力。
5、高效快速:更新科技成果的应用,只需40-60分钟手术,7天修复就可轻松拥有一口靓牙。
龅牙牙齿矫正会痛吗?以上就是郑州更好的口腔医院郑州唯美口腔专家的介绍,龅牙矫正手术是一个复杂的手术,稍有不慎会影响龅牙手术的效果,造成不可挽回的损失,否能达到完美效果的关键在于龅牙矫正医院是否具有先进的龅牙矫正技术及设备,专家是否具有流行的时尚审美观和熟练的技术,更重要得一点得选择一家专业的口腔医院做牙齿矫正是很重要的。如果您还想了解更多关于口腔健康方面的相关知识,您可以点击在线咨询。
上一篇:带牙套可以矫正龅牙吗
下一篇:导致牙齿前突的原因有哪些
唯美口腔连锁·汇聚实力专家
唯美口腔连锁·品牌资讯