龅牙矫正术后是一个非常关键时期,稍微处理不当,就会引起矫正效果,难以达到预期的目的。情况严重的话甚至会导致整个手术的失败。专家提醒,手术患者务必重视,严格医生的嘱咐。那么,龅牙矫正术后的注意事项有哪些呢?
龅牙矫正术后注意事项:
1、龅牙矫正后会有轻度不适感患者应耐心练习使用,逐渐适应。
2、龅牙矫正初期与修复前相比,上下牙尖对位可能会有变化,要缓慢进食,逐渐适应,以免咬伤颊舌粘膜。
3、龅牙矫正后不要咬太硬的食物,比如核桃一类的东西。
4、龅牙矫正后初期避免吃过凉过热的食物,以免引起激发痛。大约两周以后可以正常进食。
5、龅牙矫正后应注意保持口腔清洁,养成餐后刷牙的习惯,牙缝间可以使用牙线清洁,并定期到机构检查、洁牙。推荐阅读:韩式隐形正畸
中韩·唯美口腔韩式隐形正畸技术推荐
唯美口腔率先引进的韩式隐形正畸技术继承了传统的牙颌畸形矫治的理念,是现代口腔医学、计算机辅助四维诊断、个性化设计及数字化成型技术的完美结合,是正畸领域的新突破。韩式隐形正畸由中韩齿科专家联合坐诊,实现全程无痛无创快速疗法,专门治疗各种牙齿排列不整齐,咬合错位等牙齿形态问题,还你一口整齐、坚固耐用的健康原牙。该技术是完全个性化的设计理念,可根据正畸者的情况佩带不同的矫治器,完全不影响正畸者的生活。具有隐形高效,稳定美观的特点,并且大大地缩短了疗程,使治疗时间缩短近三分之一,复诊时间缩短二分之一,为正畸者大大节省了时间,透明隐形正畸矫正矫治器厚度不到1mm,透明、光滑、舒适,无异物感和粘膜刺激,是目前更受欢迎和信赖的美齿项目。点击在线咨询,了解牙齿矫正的各项优惠活动,在线预约可享更多优惠!
中韩·唯美口腔牙齿矫正专家推荐

李玉如,口腔正畸科。副教授,副主任医师,硕士生导师,口腔医学正畸专业硕士。1991年毕业于中山医科大学口腔系,一直从事口腔正畸的临床、教学和科研工作,临床经验丰富,并注重知识的学习更新,2004年硕士学位毕业。擅长正畸科各类牙颌畸形及疑难病例的矫治,对青少年反牙合、开牙合、功能性矫治、阻生牙的导萌牵引及成年人牙颌畸形、牙周病的正畸治疗有良好的疗效。
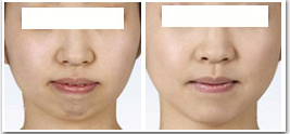
中韩·唯美口腔龅牙矫正前后对比图

温馨提示:如果您觉得我们的文章并没有解释得很清楚,或有其他问题,您可以点击我们的在线咨询专家。中韩·唯美口腔会给您一个专业的分析,详细的解答,并给您一个满意的答复!
上一篇:造成龅牙的因素有哪些
下一篇:龅牙会对人的容貌造成什么样的影响
唯美口腔连锁·汇聚实力专家
唯美口腔连锁·品牌资讯