郑州牙齿整形多少钱?牙齿整形在一定程度上不仅满足了我们在美容方面的要求,而且还有效的保障了我们的口腔健康。鉴于畸形牙齿所带来的危害,许多朋友都通过牙齿整形来解决。那么牙齿整形多少钱呢?
牙齿整形价格的影响因素
1、整形的医生:专业的牙齿整形专家要比一般的甚至是实习的整形专家要贵。原因是专业的整形专家的临床经验和牙科知识能保证整形的结果和安全性。
2、所选材料不同:一般隐形矫正器的材料分为:国内、国外两种,由于国外的科技水平,生产设备要先进于国内,所以,国外的隐形矫正器的价格要贵些。
3、医院不同:正规的口腔医院会根据不同的患者做专业的治疗方案,寻找一个和患者个方面均吻合的治疗手段,更大程度上减少患者的不适感。所以,价格就要突出一些。推荐阅读:韩式隐形正畸
牙齿矫正技术推荐——韩式隐形正畸
中韩·唯美口腔率先引进的韩式四维隐形正畸技术继承了传统的牙颌畸形矫治的理念,是现代口腔医学、计算机辅助四维诊断、个性化设计及数字化成型技术的完美结合,是正畸领域的新突破。韩式四维隐形正畸由知名专家坐诊,实现全程无痛无创快速疗法,专门治疗各种牙齿排列不整齐,咬合错位等牙齿形态问题,还你一口整齐、坚固耐用的健康原牙。点击在线咨询,了解牙齿矫正的优惠信息!在线预约可享更多优惠!
中韩·唯美口腔牙齿矫正专家推荐

李玉如,口腔正畸科。副教授,副主任医师,硕士生导师,口腔医学正畸专业硕士。1991年毕业于中山医科大学口腔系,一直从事口腔正畸的临床、教学和科研工作,临床经验丰富,并注重知识的学习更新,2004年硕士学位毕业。擅长正畸科各类牙颌畸形及疑难病例的矫治,对青少年反牙合、开牙合、功能性矫治、阻生牙的导萌牵引及成年人牙颌畸形、牙周病的正畸治疗有良好的疗效。
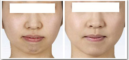
中韩·唯美口腔牙齿矫正前后对比图

如有有任何疑问,你可在线咨询得到想要的蜕变答案,中韩·唯美口腔专家会根据您的实际情况为您推荐更好的治疗方案并为您申请专项优惠。
上一篇:龅牙矫正有没有年龄限制
下一篇:郑州牙齿矫正要多少钱
唯美口腔连锁·汇聚实力专家
唯美口腔连锁·品牌资讯