如何矫正龅牙?初次见面,很多人很在意对方的印象,这对牙齿畸形的患者是个不小的遗憾,甚至闹怒,灿烂的笑容带给我们视觉上的冲击和感官上的美好,因此很多人选择牙齿矫正来改善龅牙问题,那么如何矫正龅牙?
龅牙一般表现为牙齿牙颌突出,一定要及时去口腔医院去诊治,以免更多的伤害,在了解前,先来看看引发原因:
临床上龅牙形成的原因大部分来自于遗传基因,但是家长也要特别注意,小朋友长牙时期,尤其在二到六岁,换牙前更是关键,容易因为受到外力影响,包括常常咬嘴唇、吐舌头、咬指甲,和用嘴巴呼吸等口腔习惯,都会影响牙齿排列,导致无法咬合变成龅牙。
如果龅牙已成定局,不想龅牙影响微笑与口腔健康,更好尽快接受牙齿矫正,抓紧矫正7~12岁的更佳时机。青少年时期,可通过戴牙套的方式进行矫正龅牙,但矫正周期相对较长,不适用于成年人。
如果成年人来矫正龅牙,可以通过美容冠,具有矫正时间短,效果显着等特点,突破传统牙齿矫正的弊端,强调对牙齿的修复及美容的双重效果,只需要短短7天,就可以让您的牙齿焕然一新,而且美牙效果可终生保持;了解更多牙齿矫正,点击在线咨询,直接与专家相互交流,详细咨询!
还有一种隐性正畸也是很不错的,具有佩戴起来美观,不影响正常的工作生活等多个优点。
中韩·唯美口腔牙齿矫正技术推荐
中韩·唯美口腔率先引进的韩式四维隐形正畸技术继承了传统的牙颌畸形矫治的理念,是现代口腔医学、计算机辅助四维诊断、个性化设计及数字化成型技术的完美结合,是正畸领域的新突破。韩式四维隐形正畸由知名专家坐诊,实现全程无痛无创快速疗法,专门治疗各种牙齿排列不整齐,咬合错位等牙齿形态问题,还你一口整齐、坚固耐用的健康原牙。推荐阅读:韩式隐形正畸
中韩·唯美口腔牙齿矫正专家推荐

李玉如,口腔正畸科。副教授,副主任医师,硕士生导师,口腔医学正畸专业硕士。1991年毕业于中山医科大学口腔系,一直从事口腔正畸的临床、教学和科研工作,临床经验丰富,并注重知识的学习更新,2004年硕士学位毕业。擅长正畸科各类牙颌畸形及疑难病例的矫治,对青少年反牙合、开牙合、功能性矫治、阻生牙的导萌牵引及成年人牙颌畸形、牙周病的正畸治疗有良好的疗效。点击在线咨询,了解牙齿矫正的优惠信息!在线预约可享更多优惠!
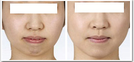
中韩·唯美口腔牙齿矫正前后对比图

温馨提示:以上内容是关于龅牙矫正的一些介绍,希望对大家有所帮助,如果您在这方面还有更多问题和疑惑,欢迎您随时在线提问或者电话咨询,我们中韩·唯美口腔医院将竭诚为您服务!
上一篇:牙齿矫正会不会感觉到疼痛
下一篇:龅牙出现的原因有哪些
唯美口腔连锁·汇聚实力专家
唯美口腔连锁·品牌资讯