成人龅牙矫正多少钱?龅牙是很多人的梦魔,尤其是成人,由于成人面临着工作,恋爱,交流等等,需要与各种各样的人打交道,因此形象是成人很重要的一面,而龅牙对成人各个方面都有影响,因此成人龅牙矫正势在必行,那么成人龅牙矫正多少钱?
龅牙影响外在形象 严重的还会影响口腔正常功能
龅牙是一种常见的牙齿畸形问题,中韩·唯美口腔的专家介绍,龅牙常常表现为开唇露齿,自然状态下双唇不能闭拢,微笑时牙龈外露过多,常常伴有颏后缩,强迫闭口时,下唇下方与颏部之间有明显的软组织隆起。口内上下前牙唇倾,常伴拥挤不齐,前牙深覆牙合、深覆盖。
龅牙的危害是很严重的,中韩·唯美口腔专家介绍,龅牙等错颌畸形可影响容貌外观,可呈现开唇露齿、双颌前突、上下巴或短下巴、导致鼻子异常、嘴唇过厚等畸形。严重的龅牙可以影响口腔正常功能,如前牙开颌造成发音的异常;严重下颌后缩则影响正常呼吸。
牙齿情况、矫正方式、医生技术等都是成人龅牙矫正费用的影响因素
,牙齿情况:龅牙情况不同,所需的治疗方式也有所不同。一般来说,龅牙可分为骨性龅牙和牙性龅牙,骨性龅牙矫正价格略高,而牙性龅牙则较低。建议成人患者朋友到正规医院就诊,与专业医生沟通后选择合适的龅牙矫正方法。
第二,矫正方式:针对病因不同,价格不同。以矫正器为例,成人由于牙齿发育完全,通常选择隐形矫治术、美容冠和全瓷牙的方式矫正,不仅矫正效果出色,而且造型美观、摘戴方便,不影响正常工作和生活,不同的方式,在矫正暴牙多少钱的定位上自然也有所不同。
第三,医生技术:医生不仅要精通口腔矫正技术,也要有较强的审美理念,并要把握临床医师的修复理论、规范的操作、正确的设计和技师的密切配合等,这样才能达到成人龅牙矫正的更佳效果
第四,矫正设备:牙齿矫正设备由于国产和进口的仪器之间性能的差别,导致成人矫正龅牙多少钱的定位不同。专家建议成人患者朋友们根据牙齿状况和经济条件选择适合的仪器。
正规齿科才能保证龅牙矫正的效果
牙齿正畸有时候还会有一定的负面影响,但是如果因为怕拔牙就直接做牙齿矫正,效果不好还可能会导致矫正后的牙齿有复发的可能,那就得不偿失了,所以建议大家去正规齿科听从专业医师的看法,会从更适合自身牙齿矫正的角度出发,保证让你的牙齿得到更佳矫正效果!推荐阅读:龅牙矫正四大技术
针对龅牙矫正,时间长,见效慢的问题,中韩·唯美口腔引进更新韩式四维隐形牙齿矫正系统,采用内窥镜检查,通过计算机进行三维快速成像,确定牙齿分布状况,再根据力学原理和靶向技术精确定位着力点,用聚能的力量将畸形牙移动,更后平移成正常的排列状态,通过3至6个月在无形中达到矫治效果。
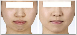
韩式四维矫正龅牙案例

中韩·唯美口腔牙齿矫正专家推荐

李玉如,口腔正畸科。副教授,副主任医师,硕士生导师,口腔医学正畸专业硕士。1991年毕业于中山医科大学口腔系,一直从事口腔正畸的临床、教学和科研工作,临床经验丰富,并注重知识的学习更新,2004年硕士学位毕业。
擅长正畸科各类牙颌畸形及疑难病例的矫治,对青少年反牙合、开牙合、功能性矫治、阻生牙的导萌牵引及成年人牙颌畸形、牙周病的正畸治疗有良好的疗效。
温馨提示:如果你在阅读文章时碰到不清楚的地方,可以通过这个链接咨询我们专家;如果你需要看病又不想排队挂号,也可以通过这里提前预约,我们将免费为你安排。
唯美口腔连锁·汇聚实力专家
唯美口腔连锁·品牌资讯